
糸リフトができる福岡のクリニックをご紹介します。
糸リフトは切らないリフトアップが可能で、今人気が高まっている施術です。湘南美容クリニックをはじめ、人気があり安いクリニックを厳選しています。
モニター募集の情報や口コミもまとめたので、参考にしてクリニックを選んでみてください。
福岡で糸リフトが安いクリニック比較表
| クリニック名 | 最安値メニュー | 金額 | HP |
|---|---|---|---|
人気・おすすめ!![]() 湘南美容クリニック 福岡院 | プリマリフト | 5,000円 | 詳細へ |
![]() TCB東京中央美容外科 福岡博多院 | TCB小顔リフト1本 | 13,800円 | 詳細へ |
![]() 聖心美容クリニック 福岡院 | アキュパンクチュアリフト リードファインリフト25本 | 85,800円 | 詳細へ |
![]() 品川スキンクリニック 福岡院 | はじめての美肌アモーレ スタンダード4本 | 99,000円 | 詳細へ |
![]() ルラ(LULA)美容クリニック福岡院 | カジュアルルラリフト 全顔モニター、1本 | 10,780円 | 詳細へ |
![]() 東京美容外科 福岡院 | レモンリフト 1本 | 33,000円 | 詳細へ |
![]() 福岡TAクリニック | TAC式ツヤ肌コラーゲンリフト®️ 片側1部位 | 22,000円 | 詳細へ |
![]() 美容皮膚科エルムクリニック福岡院 | ボブリフトプレミアム1本 | 35,000円 | 詳細へ |
![]() ガーデンクリニック福岡院 | G-shape 1本 | 55,000円 | 詳細へ |
![]() 共立美容外科 福岡院 | 共立たるみリフト 共立小顔リフト 1本 | 16,500円 | 詳細へ |
湘南美容クリニック 福岡院

全国展開している湘南美容クリニックの福岡院では、女性医師も在籍しており、デリケートな相談も安心して行うことができます。スタッフの理解と配慮のもと、リラックスしてご相談いただける環境が整っています。さらに、モニター募集やリピーター専用の特別価格もご用意しており、施術をお得に受けられるチャンスがあります。これにより、初めての方もリピーターの方も、お得に美容ケアを体験することができるクリニックです。
湘南美容クリニック 福岡院
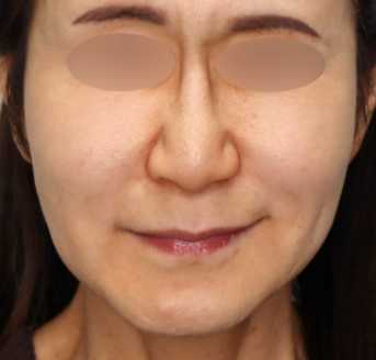
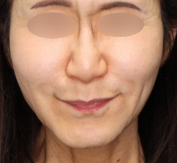
糸リフトの料金・症例

- 施術名金額
- プリマリフト5,000円(税込)
- シークレットリフト2本 リピーター価格54,900円(税込)
- テスリフト1本 リピーター価格35,150円(税込)
- ショッピングスレッドリフト 20本51,200円(税込)


施術詳細
専用の糸を使用した糸リフト施術でフェイスラインのたるみを改善(シークレット6本、VOVリフト12本)
副作用・リスク
内出血、腫れ、感染症、左右差など


施術詳細
顔の余分な脂肪を吸引し、シワ部分に注入することで自然なふくらみを実現し、専用の糸を使用した糸リフト施術でフェイスラインのたるみを改善
副作用・リスク
内出血、腫れ、感染症、左右差など
湘南美容クリニック 福岡院
糸リフトの口コミ
※口コミは個人の感想であり、効果を保証するものではありません
※Google mapの口コミを引用
湘南美容クリニック 福岡院の詳細
- アクセス天神南駅より徒歩3分
- 住所
- 営業時間10:00~19:00
TCB東京中央美容外科 福岡博多院
TCBは、全国に展開する美容外科であり、リピート率が非常に高いのが特徴です。比較的低コストで糸リフト治療を提供しており、高い効果を実感しながらも、予算を気にせずに施術を受けられるのが魅力です。糸リフトに興味があるものの、料金に不安を感じている方には特におすすめのクリニックです。リーズナブルな価格で質の高い治療を受けることができるため、気軽にトライしてみる価値があります。


施術詳細
専⽤の⽷を⽪下組織に通して肌を引き上げる施術。 突起のついた⽷の刺激がコラーゲン⽣成を促し、美肌効果ももたらす
副作用・リスク
知覚異常、腫れ、ほてり、感染症など


施術詳細
ヒアルロン酸注入でほうれい線にふくらみをもたせ、TCB式⼩顔美肌再⽣でフェイスラインのたるみを改善する
副作用・リスク
知覚異常、腫れ、ほてり、感染症など
TCB東京中央美容外科 福岡博多院
糸リフトの口コミ
※口コミは個人の感想であり、効果を保証するものではありません
※Google mapの口コミを引用
TCB東京中央美容外科 福岡博多院の詳細
- アクセス博多駅より徒歩3分、地下鉄博多駅より徒歩5分
- 住所
- 営業時間10:00~19:00
聖心美容クリニック 福岡院
特許取得済みのミントスレッドを使用したプレミアムディメンショナルリフトが評判◎無料カウンセリングだけではなく、ウェブ相談も可能です。
聖心美容クリニック 福岡院
糸リフトの料金・症例

- 施術名金額
- アキュパンクチュアリフト リードファインリフト25本85,800円(税込)
- スプリングスレッドリフト 両側4本561,000円(税込)
- プレミアムディメンショナルリフト 両側6本418,000円(税込)


施術詳細
フィオラFLで頬のたるみを上方向にリフトアップし、サポートスレッド(当院ではアンカーマックス、アンカーX)で気になるたるみ部分を更にリフトアップ
副作用・リスク
術後の腫れ、内出血、ツッパリ感、むくみ、凸凹など


施術詳細
所麻酔後にもみあげ付近から糸を挿入し、口元などのたるみをリフトアップ
副作用・リスク
術後の腫れ、内出血、ツッパリ感、むくみ、凸凹など
聖心美容クリニック 福岡院
糸リフトの口コミ
※口コミは個人の感想であり、効果を保証するものではありません
※Google mapの口コミを引用
聖心美容クリニック 福岡院の詳細
- アクセス西鉄福岡天神駅より徒歩5分、地下鉄天神駅より徒歩10分
- 住所
- 営業時間10:00~19:00
品川スキンクリニック 福岡院
全国展開されている品川スキンクリニックの福岡院では、エイジングケアに力を入れています。美肌アモーレは若さを取り戻せる施術として人気◎
品川スキンクリニック 福岡院
糸リフトの料金・症例

- 施術名金額
- はじめての美肌アモーレ スタンダード4本99,000円(税込)
- 美肌アモーレ スタンダード4本 BMC会員146,880円(税込)
- 美肌アモーレ プレミア8本 BMC会員174,240円(税込)


施術詳細
溶ける糸を挿入し頬を引き上げる施術。専用糸を12本使用
副作用・リスク
痛み、むくみ、内出血、感染症、針跡など


施術詳細
溶ける糸を挿入し頬を引き上げる施術。専用糸を8本使用
副作用・リスク
痛み、むくみ、内出血、感染症、針跡など
品川スキンクリニック 福岡院
糸リフトの口コミ
※口コミは個人の感想であり、効果を保証するものではありません
※Google mapの口コミを引用
品川スキンクリニック 福岡院の詳細
- アクセス福岡駅より徒歩約5分
- 住所
- 営業時間10:00~19:00
ルラ(LULA)美容クリニック福岡院
ルラリフト(糸リフト・スレッドリフト)とは、糸を挿入し顔のたるみをリフトアップする治療です。糸には吸水性と非吸水性があり、吸水性の糸を用いたリフトアップ治療は安全性が高いのが特徴です。吸水性の糸を使用しています。
ルラ(LULA)美容クリニック福岡院
糸リフトの料金・症例

- 施術名金額
- ルラリフト 1本 モニター価格19,800円(税込)
- カジュアルルラリフト 1本 モニター価格16,500円(税込)
- ルラリフト 全顔モニター、1本21,780円
- カジュアルルラリフト 全顔モニター、1本10,780円


施術詳細
従来の糸の2〜3倍の持続期間である2年かけて溶ける糸を使用し、たるみを引き上げる
副作用・リスク
腫れ、痛み、内出血など


施術詳細
従来の糸の2〜3倍の持続期間である2年かけて溶ける糸を使用し、たるみを引き上げる
副作用・リスク
腫れ、痛み、内出血など
ルラ(LULA)美容クリニック福岡院
糸リフトの口コミ
※口コミは個人の感想であり、効果を保証するものではありません
※Google mapの口コミを引用
ルラ(LULA)美容クリニック福岡院の詳細
- アクセス天神駅より徒歩5分
- 住所
- 営業時間10:00~19:00
東京美容外科 福岡院

レモンリフトは「PLACL」素材の3D構造糸を使用したリフトアップ術です。血液循環を促しコラーゲンを生成することで皮膚の弾力UPも期待できます。従来の糸よりゆっくりと溶けるため持続的な効果が期待できます。
東京美容外科 福岡院
糸リフトの料金・症例

- 施術名金額
- レモンリフト 1本33,000円(税込)
- テスリフト 1本66,000円(税込)
- アルテミスリフト 1本66,000円(税込)
- オルチャンリフト 1本55,000円(税込)
- Gコグプレス 1本55,000円(税込)
- VOVリフト 1本44,000円(税込)
- ショッピングリフト 20本55,000円(税込)
- ヒアルロン酸入りショッピングリフト 20本66,000円(税込)


施術詳細
特殊加工された溶ける極細糸を使用して、皮下組織を引き締める
副作用・リスク
腫れ、赤み、感染症など


施術詳細
特殊加工された溶ける極細糸を使用して、皮下組織を引き締める
副作用・リスク
腫れ、赤み、感染症など
東京美容外科 福岡院
糸リフトの口コミ
※口コミは個人の感想であり、効果を保証するものではありません
※Google mapの口コミを引用
東京美容外科 福岡院の詳細
- アクセス西鉄福岡駅より徒歩5分
- 住所
- 営業時間10:00~19:00
福岡TAクリニック

形成外科専門医とエイジングケアの専門ドクターが在籍しており、豊富な経験と専門知識に基づいた治療を提供しています。特に、独自の糸リフト施術が受けられる点が大きな魅力です。この施術は、従来の方法とは一線を画し、より効果的なリフトアップを実現します。
福岡TAクリニック
糸リフトの料金・症例

- 施術名金額
- パーフェクトフェイスライン フル354,000円(税込)
- TAC式ツヤ肌コラーゲンリフト®️ 片側1部位22,000円(税込)
- TAC式ショッピングリフト 20本86,900円(税込)


施術詳細
時間の経過とともに体内に吸収される特殊な糸を用い、悩みに合わせて的確に糸を通して引き上げることで、たるみを改善
副作用・リスク
強い引き上がり感、頬のヨレ、引きつれ、腫れ、感染症など


施術詳細
TAC式ツヤ肌コラーゲンリフト®極と脂肪吸引の併用施術。脂肪吸引で頬の脂肪を軽くし、糸リフトでたるみ・もたつきを引き上げる
副作用・リスク
強い引き上がり感、頬のヨレ、引きつれ、腫れ、感染症など
福岡TAクリニック
糸リフトの口コミ
※口コミは個人の感想であり、効果を保証するものではありません
※Google mapの口コミを引用
福岡TAクリニックの詳細
- アクセス天神南駅より徒歩5分
- 住所
- 営業時間10:00~19:00
美容皮膚科エルムクリニック福岡院
メスを使わないで美しさを追求する治療理念。所属医師による施術の技術力は全国トップクラスなため、質の高さには申し分ありません。毎月各院のお得な情報がHPで更新されているので要チェック◎
美容皮膚科エルムクリニック福岡院
糸リフトの料金・症例

- 施術名金額
- エルムリフト4本80,000円(税込)
- あご下糸リフト(二重アゴ)4本80,000円(税込)
- ボブリフトプレミアム1本35,000円(税込)


施術詳細
糸リフト12本・ヒアルロン酸を2本を使用し顔のたるみとシワを改善する
副作用・リスク
赤み、腫れ、浮腫み、内出血、感染症など


施術詳細
糸リフト挿入・ヒアルロン酸注入を併用し顔のたるみとシワを改善する
副作用・リスク
赤み、腫れ、浮腫み、内出血、感染症など
美容皮膚科エルムクリニック福岡院
糸リフトの口コミ
※口コミは個人の感想であり、効果を保証するものではありません
※Google mapの口コミを引用
美容皮膚科エルムクリニック福岡院の詳細
- アクセス赤坂駅より徒歩7分
- 住所
- 営業時間10:00〜19:00
ガーデンクリニック福岡院
ガーデンクリニックの糸リフトの施術で使用する糸(PDO)は性質上、従来の糸リフトよりもコラーゲンやエラスチンの生成作用が高いとされています。リフトアップ効果に加え、引き締まりや肌のハリを改善するなどの美肌効果も見込めます。


施術詳細
専用の糸を顔の皮膚下に挿入してフェイスラインなどのもたつきを引き上げる治療
副作用・リスク
痛み、腫れ、ほてり、違和感、感染症など
ガーデンクリニック福岡院
糸リフトの口コミ
※口コミは個人の感想であり、効果を保証するものではありません
※Google mapの口コミを引用
ガーデンクリニック福岡院の詳細
- アクセス地下鉄天神駅より徒歩3分
- 住所
- 営業時間10:00〜19:00
共立美容外科 福岡院
たるみ・小顔効果の「共立リフト」は、初めての方やコストを抑えたい方におすすめの施術です。短時間の施術で、自然な仕上がりと効果を実感できます。20代~40代以上まで、どなたにも適したエントリーモデルの糸リフトです。
共立美容外科 福岡院
糸リフトの料金・症例

- 施術名金額
- 共立たるみリフト 共立小顔リフト 1本16,500円(税込)
- ヴィーナスリフト 3Dメッシュ 1本49,500円(税込)~
- バーブツーアンカー 1本38,500円(税込)
- 集中ケアリフト 1本64,900円(税込)
- シルエットソフト 1本38,500円(税込)
- テスリフトソフト 1本66,000円(税込)
- VOVリフト プレミアム 1本55,000円(税込)
- スプリングリフト 1組2本55,000円(税込)
- ショッピングリフト 10本33,000円(税込)


施術詳細
専用糸を使用したるみを引き上げる
副作用・リスク
腫れ、つっぱり感、痛み、糸の露出、感染症など


施術詳細
専用糸を使用したるみを引き上げる
副作用・リスク
腫れ、つっぱり感、痛み、糸の露出、感染症など
共立美容外科 福岡院
糸リフトの口コミ
※口コミは個人の感想であり、効果を保証するものではありません
※Google mapの口コミを引用
共立美容外科 福岡院の詳細
- アクセス天神駅より徒歩5分
- 住所
- 営業時間10:00~19:00
トータルスキンクリニック 美容皮膚科

若返り治療に特化した治療を専門的に行っています。評判高く遠方から多くに患者さんが集まっているクリニック。キャンペーンやモニター募集実施中◎
トータルスキンクリニック 美容皮膚科
糸リフトの料金・症例
- 施術名金額
- TESSリフト・VOVリフト・PLCLスレッド 10本150,000円(税込)
- TESSリフト・VOVリフト・PLCLスレッド 期間限定12本150,000円(税込)
- TESSリフト・VOVリフト・PLCLスレッド 期間限定20本200,000円(税込)


施術詳細
コグ(突起)のついた糸を使用して、「たるんだ組織」を本来の位置まで引き上げる
副作用・リスク
内出血、腫れ、感染症、ひきつれ感、糸の露出、左右差など


施術詳細
コグ(突起)のついた糸を使用して、「たるんだ組織」を本来の位置まで引き上げる
副作用・リスク
内出血、腫れ、感染症、ひきつれ感、糸の露出、左右差など
トータルスキンクリニック 美容皮膚科
糸リフトの口コミ
※口コミは個人の感想であり、効果を保証するものではありません
※Google mapの口コミを引用
トータルスキンクリニック 美容皮膚科の詳細
- アクセス空港線天神駅より徒歩10分、西鉄福岡(天神)駅より徒歩8分
- 住所
- 営業時間10:00〜19:00
セイコメディカルビューティクリニック福岡院
特殊な糸の構造を組み合わせて、強度・引っ張る力をアップさせた糸リフト。カウンセリングは無料で、オンライン診療やモニター治療も行っています。
セイコメディカルビューティクリニック福岡院
糸リフトの料金・症例
- 施術名金額
- Kリフト1本21,200円(税込)
- セイコリフト4本150,000円(税込)
- ショートスレッド20本66,000円(税込)


施術詳細
プレス成型技術で糸と一体化させて作成したコグを使用したるみを引き上げる
副作用・リスク
腫脹、内出血、疼痛、左右差、感染症など


施術詳細
プレス成型技術で糸と一体化させて作成したコグを使用したるみを引き上げる。セイコリフト8本、テスリフト4本、ショートスレッド40本使用
副作用・リスク
腫脹、内出血、疼痛、左右差、感染症など
セイコメディカルビューティクリニック福岡院
糸リフトの口コミ
※口コミは個人の感想であり、効果を保証するものではありません
※Google mapの口コミを引用
セイコメディカルビューティクリニック福岡院の詳細
- アクセス西鉄福岡駅より徒歩4分、地下鉄空港線天神駅より徒歩6分
- 住所
- 営業時間10:00~18:00
ビスポーククリニック 福岡院
カウンセリングは専門医が行います。さらにコンピューターシミュレーションで、術後のイメージを掴みやすいでしょう。施術は経験豊富な院長が行っています!
ビスポーククリニック 福岡院
糸リフトの料金・症例
- 施術名金額
- リードファインリフト(アンカーリフト)1本55,000円(税込)
- コグリフト1本330,000円(税込)
- MWデュアルリフト®️ フェイスライン6本220,000円(税込)


施術詳細
フェイスラインの印象をすっきりと整えるため、左右各3本ずつ計6本の糸によるリフトアップを行った
副作用・リスク
内出血、腫れ、ひきつれ感など


施術詳細
フェイスラインの印象をすっきりと整えるため、左右各3本ずつ計6本の糸によるリフトアップを行った
副作用・リスク
内出血、腫れ、ひきつれ感など
ビスポーククリニック 福岡院
糸リフトの口コミ
※口コミは個人の感想であり、効果を保証するものではありません
※Google mapの口コミを引用
ビスポーククリニック 福岡院の詳細
- アクセス博多駅より徒歩9分
- 住所
- 営業時間10:00〜19:00
東郷美容形成外科 福岡
東郷美容形成外科では、患者個人にしっかりプローチした施術プランの設計・細かな点まで行き渡った丁寧な対応とわかりやすい説明を心がけているクリニックです。さらにプライバシーを考慮しているので待合も完全個室です!口コミも高評価◎


施術詳細
(左右 8本)167,200円 税込み
副作用・リスク
左右差、感染症、糸の露出など
東郷美容形成外科 福岡
糸リフトの口コミ
※口コミは個人の感想であり、効果を保証するものではありません
※Google mapの口コミを引用
東郷美容形成外科 福岡の詳細
- アクセス博多駅より徒歩8分
- 住所
- 営業時間10:00〜18:00
松林景一美容クリニック天神
若返りに関して幅広く任せられる美容クリニックです。糸リフトはスレッドリフトで、豊富なプランを用意。お友達紹介制度で、お得に施術を受けられます。
松林景一美容クリニック天神
糸リフトの料金・症例
- 施術名金額
- ウルトラVリフト 10本33,000円 (税込)
- セルフロック 1本22,000円(税込)
- セルフロックNeo 1本27,500円(税込)


施術詳細
特殊な糸を皮膚に入れることで、コラーゲンの生成を促進して皮膚のたるみやシワを改善へ導く
副作用・リスク
腫れ、内出血、感染、糸の露出、アレルギー反応など
松林景一美容クリニック天神
糸リフトの口コミ
※口コミは個人の感想であり、効果を保証するものではありません
※Google mapの口コミを引用
松林景一美容クリニック天神の詳細
- アクセス天神駅より徒歩1分
- 住所
- 営業時間10:00~19:00
クリニーク福岡天神
糸リフトはもちろん、さまざまなシワ・たるみ治療が豊富に用意されています!さらにキャンペーンも行っていて、お得な価格で施術できることもあります。
クリニーク福岡天神
糸リフトの料金・症例
- 施術名金額
- PDO素材スレッドリフト1本33,000円(税込)
- PCL素材スレッドリフト44,000円(税込)
- スレッドリフト入れ放題275,000円(税込)


施術詳細
専用糸(VOVリフト4本・プレミアムシークレットリフト4本の計8本)を挿入
副作用・リスク
腫れ、痛み、赤みなど


施術詳細
専用糸(ベーシック6本)を挿入
副作用・リスク
腫れ、痛み、赤みなど
クリニーク福岡天神
糸リフトの口コミ
※口コミは個人の感想であり、効果を保証するものではありません
※Google mapの口コミを引用
クリニーク福岡天神の詳細
- アクセス天神駅より徒歩4分
- 住所
- 営業時間10:00~19:00
藤野クリニック
シミやシワ・たるみ治療を美容皮膚科専門のクリニックです。糸リフトのメニューはに種類用意されているので、ご自身にあった方法を選択。
藤野クリニック
糸リフトの料金・症例
- 施術名金額
- エヌ・コグリフト 顔全体132,000円(税込)
- ダーマスプリングアイ 目元10本60,500円(税込)
- ダーマスプリングアイ 目元20本97,900円(税込)


施術詳細
専用糸を挿入し、たるみを引き上げる
副作用・リスク
痛み、つっぱり感、感染症など


施術詳細
専用糸(ショートスレッド)を挿入し、たるみを引き上げる
副作用・リスク
痛み、つっぱり感、感染症など
藤野クリニック
糸リフトの口コミ
※口コミは個人の感想であり、効果を保証するものではありません
※Google mapの口コミを引用
藤野クリニックの詳細
- アクセス天神駅より徒歩8分、福岡天神駅より徒歩3分
- 住所
- 営業時間【平日】10:30〜18:30
【土日祝】9:30~17:30
牧野美容クリニック

牧野美容クリニックは、多くの美容施術の中でも特にフェイスリフトを得意とするクリニックです。初めての美容医療で心配という人も安心して施術を受けることができるでしょう。
牧野美容クリニック
糸リフトの料金・症例
- 施術名金額
- ショートフェイスリフト(もみあげ~耳前部の切開、たるみ中等度の方) モニター価格550,000円(税込)
- スタンダードフェイスリフト(もみあげ~耳前部~うなじ、たるみ重度の方) モニター価格680,000円(税込)
- ミントリフト10本 モニター価格280,000円(税込)
牧野美容クリニック
糸リフトの口コミ
※口コミは個人の感想であり、効果を保証するものではありません
※Google mapの口コミを引用
牧野美容クリニックの詳細
- アクセス博多駅より徒歩13分
- 住所
- 営業時間10:00~18:00
福岡美容外科LuxeBeautyClinic
若返るのスペシャリストが在籍しているクリニックです。3種類の糸リフトのメニューを用いて、気になるたるみの解消が期待できます。
福岡美容外科LuxeBeautyClinic
糸リフトの料金・症例
- 施術名金額
- Luxeプレミアムリフト(1本あたり)33,000円(税込)
- VoVリフト(1本あたり)41,800円(税込)
- Zリフト(1本あたり)46,200円(税込)


施術詳細
特殊な形状の溶ける糸を皮下に挿入することで、顔のたるみをリフトアップさせたり、輪郭をすっきり見せることで効果的に小顔効果を引き出す
副作用・リスク
内出血、腫れ、浮腫み、疼痛、違和感など


施術詳細
特殊な形状の溶ける糸を皮下に挿入することで、顔のたるみをリフトアップさせたり、輪郭をすっきり見せることで効果的に小顔効果を引き出す
副作用・リスク
内出血、腫れ、浮腫み、疼痛、違和感など
福岡美容外科LuxeBeautyClinic
糸リフトの口コミ
※口コミは個人の感想であり、効果を保証するものではありません
※Google mapの口コミを引用
福岡美容外科LuxeBeautyClinicの詳細
- アクセス赤坂駅より徒歩1分
- 住所
- 営業時間10:00~19:00
TCB東京中央美容外科 福岡博多院
TCBは、全国に展開する美容外科であり、リピート率が非常に高いのが特徴です。比較的低コストで糸リフト治療を提供しており、高い効果を実感しながらも、予算を気にせずに施術を受けられるのが魅力です。糸リフトに興味があるものの、料金に不安を感じている方には特におすすめのクリニックです。リーズナブルな価格で質の高い治療を受けることができるため、気軽にトライしてみる価値があります。


施術詳細
専⽤の⽷を⽪下組織に通して肌を引き上げる施術。 突起のついた⽷の刺激がコラーゲン⽣成を促し、美肌効果ももたらす
副作用・リスク
知覚異常、腫れ、ほてり、感染症など


施術詳細
ヒアルロン酸注入でほうれい線にふくらみをもたせ、TCB式⼩顔美肌再⽣でフェイスラインのたるみを改善する
副作用・リスク
知覚異常、腫れ、ほてり、感染症など
TCB東京中央美容外科 福岡博多院
糸リフトの口コミ
※口コミは個人の感想であり、効果を保証するものではありません
※Google mapの口コミを引用
TCB東京中央美容外科 福岡博多院の詳細
- アクセス博多駅より徒歩3分、地下鉄博多駅より徒歩5分
- 住所
- 営業時間10:00~19:00
ルラ(LULA)美容クリニック福岡院
ルラリフト(糸リフト・スレッドリフト)とは、糸を挿入し顔のたるみをリフトアップする治療です。糸には吸水性と非吸水性があり、吸水性の糸を用いたリフトアップ治療は安全性が高いのが特徴です。吸水性の糸を使用しています。
ルラ(LULA)美容クリニック福岡院
糸リフトの料金・症例

- 施術名金額
- ルラリフト 1本 モニター価格19,800円(税込)
- カジュアルルラリフト 1本 モニター価格16,500円(税込)
- ルラリフト 全顔モニター、1本21,780円
- カジュアルルラリフト 全顔モニター、1本10,780円


施術詳細
従来の糸の2〜3倍の持続期間である2年かけて溶ける糸を使用し、たるみを引き上げる
副作用・リスク
腫れ、痛み、内出血など


施術詳細
従来の糸の2〜3倍の持続期間である2年かけて溶ける糸を使用し、たるみを引き上げる
副作用・リスク
腫れ、痛み、内出血など
ルラ(LULA)美容クリニック福岡院
糸リフトの口コミ
※口コミは個人の感想であり、効果を保証するものではありません
※Google mapの口コミを引用
ルラ(LULA)美容クリニック福岡院の詳細
- アクセス天神駅より徒歩5分
- 住所
- 営業時間10:00~19:00
共立美容外科 福岡院
たるみ・小顔効果の「共立リフト」は、初めての方やコストを抑えたい方におすすめの施術です。短時間の施術で、自然な仕上がりと効果を実感できます。20代~40代以上まで、どなたにも適したエントリーモデルの糸リフトです。
共立美容外科 福岡院
糸リフトの料金・症例

- 施術名金額
- 共立たるみリフト 共立小顔リフト 1本16,500円(税込)
- ヴィーナスリフト 3Dメッシュ 1本49,500円(税込)~
- バーブツーアンカー 1本38,500円(税込)
- 集中ケアリフト 1本64,900円(税込)
- シルエットソフト 1本38,500円(税込)
- テスリフトソフト 1本66,000円(税込)
- VOVリフト プレミアム 1本55,000円(税込)
- スプリングリフト 1組2本55,000円(税込)
- ショッピングリフト 10本33,000円(税込)


施術詳細
専用糸を使用したるみを引き上げる
副作用・リスク
腫れ、つっぱり感、痛み、糸の露出、感染症など


施術詳細
専用糸を使用したるみを引き上げる
副作用・リスク
腫れ、つっぱり感、痛み、糸の露出、感染症など
共立美容外科 福岡院
糸リフトの口コミ
※口コミは個人の感想であり、効果を保証するものではありません
※Google mapの口コミを引用
共立美容外科 福岡院の詳細
- アクセス天神駅より徒歩5分
- 住所
- 営業時間10:00~19:00
セイコメディカルビューティクリニック福岡院
特殊な糸の構造を組み合わせて、強度・引っ張る力をアップさせた糸リフト。カウンセリングは無料で、オンライン診療やモニター治療も行っています。
セイコメディカルビューティクリニック福岡院
糸リフトの料金・症例
- 施術名金額
- Kリフト1本21,200円(税込)
- セイコリフト4本150,000円(税込)
- ショートスレッド20本66,000円(税込)


施術詳細
プレス成型技術で糸と一体化させて作成したコグを使用したるみを引き上げる
副作用・リスク
腫脹、内出血、疼痛、左右差、感染症など


施術詳細
プレス成型技術で糸と一体化させて作成したコグを使用したるみを引き上げる。セイコリフト8本、テスリフト4本、ショートスレッド40本使用
副作用・リスク
腫脹、内出血、疼痛、左右差、感染症など
セイコメディカルビューティクリニック福岡院
糸リフトの口コミ
※口コミは個人の感想であり、効果を保証するものではありません
※Google mapの口コミを引用
セイコメディカルビューティクリニック福岡院の詳細
- アクセス西鉄福岡駅より徒歩4分、地下鉄空港線天神駅より徒歩6分
- 住所
- 営業時間10:00~18:00
湘南美容クリニック 福岡院

全国展開している湘南美容クリニックの福岡院では、女性医師も在籍しており、デリケートな相談も安心して行うことができます。スタッフの理解と配慮のもと、リラックスしてご相談いただける環境が整っています。さらに、モニター募集やリピーター専用の特別価格もご用意しており、施術をお得に受けられるチャンスがあります。これにより、初めての方もリピーターの方も、お得に美容ケアを体験することができるクリニックです。
湘南美容クリニック 福岡院
糸リフトの料金・症例

- 施術名金額
- プリマリフト5,000円(税込)
- シークレットリフト2本 リピーター価格54,900円(税込)
- テスリフト1本 リピーター価格35,150円(税込)
- ショッピングスレッドリフト 20本51,200円(税込)


施術詳細
専用の糸を使用した糸リフト施術でフェイスラインのたるみを改善(シークレット6本、VOVリフト12本)
副作用・リスク
内出血、腫れ、感染症、左右差など


施術詳細
顔の余分な脂肪を吸引し、シワ部分に注入することで自然なふくらみを実現し、専用の糸を使用した糸リフト施術でフェイスラインのたるみを改善
副作用・リスク
内出血、腫れ、感染症、左右差など
湘南美容クリニック 福岡院
糸リフトの口コミ
※口コミは個人の感想であり、効果を保証するものではありません
※Google mapの口コミを引用
湘南美容クリニック 福岡院の詳細
- アクセス天神南駅より徒歩3分
- 住所
- 営業時間10:00~19:00
松林景一美容クリニック天神
若返りに関して幅広く任せられる美容クリニックです。糸リフトはスレッドリフトで、豊富なプランを用意。お友達紹介制度で、お得に施術を受けられます。
松林景一美容クリニック天神
糸リフトの料金・症例
- 施術名金額
- ウルトラVリフト 10本33,000円 (税込)
- セルフロック 1本22,000円(税込)
- セルフロックNeo 1本27,500円(税込)


施術詳細
特殊な糸を皮膚に入れることで、コラーゲンの生成を促進して皮膚のたるみやシワを改善へ導く
副作用・リスク
腫れ、内出血、感染、糸の露出、アレルギー反応など
松林景一美容クリニック天神
糸リフトの口コミ
※口コミは個人の感想であり、効果を保証するものではありません
※Google mapの口コミを引用
松林景一美容クリニック天神の詳細
- アクセス天神駅より徒歩1分
- 住所
- 営業時間10:00~19:00
福岡TAクリニック

形成外科専門医とエイジングケアの専門ドクターが在籍しており、豊富な経験と専門知識に基づいた治療を提供しています。特に、独自の糸リフト施術が受けられる点が大きな魅力です。この施術は、従来の方法とは一線を画し、より効果的なリフトアップを実現します。
福岡TAクリニック
糸リフトの料金・症例

- 施術名金額
- パーフェクトフェイスライン フル354,000円(税込)
- TAC式ツヤ肌コラーゲンリフト®️ 片側1部位22,000円(税込)
- TAC式ショッピングリフト 20本86,900円(税込)


施術詳細
時間の経過とともに体内に吸収される特殊な糸を用い、悩みに合わせて的確に糸を通して引き上げることで、たるみを改善
副作用・リスク
強い引き上がり感、頬のヨレ、引きつれ、腫れ、感染症など


施術詳細
TAC式ツヤ肌コラーゲンリフト®極と脂肪吸引の併用施術。脂肪吸引で頬の脂肪を軽くし、糸リフトでたるみ・もたつきを引き上げる
副作用・リスク
強い引き上がり感、頬のヨレ、引きつれ、腫れ、感染症など
福岡TAクリニック
糸リフトの口コミ
※口コミは個人の感想であり、効果を保証するものではありません
※Google mapの口コミを引用
福岡TAクリニックの詳細
- アクセス天神南駅より徒歩5分
- 住所
- 営業時間10:00~19:00
クリニーク福岡天神
糸リフトはもちろん、さまざまなシワ・たるみ治療が豊富に用意されています!さらにキャンペーンも行っていて、お得な価格で施術できることもあります。
クリニーク福岡天神
糸リフトの料金・症例
- 施術名金額
- PDO素材スレッドリフト1本33,000円(税込)
- PCL素材スレッドリフト44,000円(税込)
- スレッドリフト入れ放題275,000円(税込)


施術詳細
専用糸(VOVリフト4本・プレミアムシークレットリフト4本の計8本)を挿入
副作用・リスク
腫れ、痛み、赤みなど


施術詳細
専用糸(ベーシック6本)を挿入
副作用・リスク
腫れ、痛み、赤みなど
クリニーク福岡天神
糸リフトの口コミ
※口コミは個人の感想であり、効果を保証するものではありません
※Google mapの口コミを引用
クリニーク福岡天神の詳細
- アクセス天神駅より徒歩4分
- 住所
- 営業時間10:00~19:00
東京美容外科 福岡院

レモンリフトは「PLACL」素材の3D構造糸を使用したリフトアップ術です。血液循環を促しコラーゲンを生成することで皮膚の弾力UPも期待できます。従来の糸よりゆっくりと溶けるため持続的な効果が期待できます。
東京美容外科 福岡院
糸リフトの料金・症例

- 施術名金額
- レモンリフト 1本33,000円(税込)
- テスリフト 1本66,000円(税込)
- アルテミスリフト 1本66,000円(税込)
- オルチャンリフト 1本55,000円(税込)
- Gコグプレス 1本55,000円(税込)
- VOVリフト 1本44,000円(税込)
- ショッピングリフト 20本55,000円(税込)
- ヒアルロン酸入りショッピングリフト 20本66,000円(税込)


施術詳細
特殊加工された溶ける極細糸を使用して、皮下組織を引き締める
副作用・リスク
腫れ、赤み、感染症など


施術詳細
特殊加工された溶ける極細糸を使用して、皮下組織を引き締める
副作用・リスク
腫れ、赤み、感染症など
東京美容外科 福岡院
糸リフトの口コミ
※口コミは個人の感想であり、効果を保証するものではありません
※Google mapの口コミを引用
東京美容外科 福岡院の詳細
- アクセス西鉄福岡駅より徒歩5分
- 住所
- 営業時間10:00~19:00
福岡美容外科LuxeBeautyClinic
若返るのスペシャリストが在籍しているクリニックです。3種類の糸リフトのメニューを用いて、気になるたるみの解消が期待できます。
福岡美容外科LuxeBeautyClinic
糸リフトの料金・症例
- 施術名金額
- Luxeプレミアムリフト(1本あたり)33,000円(税込)
- VoVリフト(1本あたり)41,800円(税込)
- Zリフト(1本あたり)46,200円(税込)


施術詳細
特殊な形状の溶ける糸を皮下に挿入することで、顔のたるみをリフトアップさせたり、輪郭をすっきり見せることで効果的に小顔効果を引き出す
副作用・リスク
内出血、腫れ、浮腫み、疼痛、違和感など


施術詳細
特殊な形状の溶ける糸を皮下に挿入することで、顔のたるみをリフトアップさせたり、輪郭をすっきり見せることで効果的に小顔効果を引き出す
副作用・リスク
内出血、腫れ、浮腫み、疼痛、違和感など
福岡美容外科LuxeBeautyClinic
糸リフトの口コミ
※口コミは個人の感想であり、効果を保証するものではありません
※Google mapの口コミを引用
福岡美容外科LuxeBeautyClinicの詳細
- アクセス赤坂駅より徒歩1分
- 住所
- 営業時間10:00~19:00
美容皮膚科エルムクリニック福岡院
メスを使わないで美しさを追求する治療理念。所属医師による施術の技術力は全国トップクラスなため、質の高さには申し分ありません。毎月各院のお得な情報がHPで更新されているので要チェック◎
美容皮膚科エルムクリニック福岡院
糸リフトの料金・症例

- 施術名金額
- エルムリフト4本80,000円(税込)
- あご下糸リフト(二重アゴ)4本80,000円(税込)
- ボブリフトプレミアム1本35,000円(税込)


施術詳細
糸リフト12本・ヒアルロン酸を2本を使用し顔のたるみとシワを改善する
副作用・リスク
赤み、腫れ、浮腫み、内出血、感染症など


施術詳細
糸リフト挿入・ヒアルロン酸注入を併用し顔のたるみとシワを改善する
副作用・リスク
赤み、腫れ、浮腫み、内出血、感染症など
美容皮膚科エルムクリニック福岡院
糸リフトの口コミ
※口コミは個人の感想であり、効果を保証するものではありません
※Google mapの口コミを引用
美容皮膚科エルムクリニック福岡院の詳細
- アクセス赤坂駅より徒歩7分
- 住所
- 営業時間10:00〜19:00
東郷美容形成外科 福岡
東郷美容形成外科では、患者個人にしっかりプローチした施術プランの設計・細かな点まで行き渡った丁寧な対応とわかりやすい説明を心がけているクリニックです。さらにプライバシーを考慮しているので待合も完全個室です!口コミも高評価◎


施術詳細
(左右 8本)167,200円 税込み
副作用・リスク
左右差、感染症、糸の露出など
東郷美容形成外科 福岡
糸リフトの口コミ
※口コミは個人の感想であり、効果を保証するものではありません
※Google mapの口コミを引用
東郷美容形成外科 福岡の詳細
- アクセス博多駅より徒歩8分
- 住所
- 営業時間10:00〜18:00
ガーデンクリニック福岡院
ガーデンクリニックの糸リフトの施術で使用する糸(PDO)は性質上、従来の糸リフトよりもコラーゲンやエラスチンの生成作用が高いとされています。リフトアップ効果に加え、引き締まりや肌のハリを改善するなどの美肌効果も見込めます。


施術詳細
専用の糸を顔の皮膚下に挿入してフェイスラインなどのもたつきを引き上げる治療
副作用・リスク
痛み、腫れ、ほてり、違和感、感染症など
ガーデンクリニック福岡院
糸リフトの口コミ
※口コミは個人の感想であり、効果を保証するものではありません
※Google mapの口コミを引用
ガーデンクリニック福岡院の詳細
- アクセス地下鉄天神駅より徒歩3分
- 住所
- 営業時間10:00〜19:00
ビスポーククリニック 福岡院
カウンセリングは専門医が行います。さらにコンピューターシミュレーションで、術後のイメージを掴みやすいでしょう。施術は経験豊富な院長が行っています!
ビスポーククリニック 福岡院
糸リフトの料金・症例
- 施術名金額
- リードファインリフト(アンカーリフト)1本55,000円(税込)
- コグリフト1本330,000円(税込)
- MWデュアルリフト®️ フェイスライン6本220,000円(税込)


施術詳細
フェイスラインの印象をすっきりと整えるため、左右各3本ずつ計6本の糸によるリフトアップを行った
副作用・リスク
内出血、腫れ、ひきつれ感など


施術詳細
フェイスラインの印象をすっきりと整えるため、左右各3本ずつ計6本の糸によるリフトアップを行った
副作用・リスク
内出血、腫れ、ひきつれ感など
ビスポーククリニック 福岡院
糸リフトの口コミ
※口コミは個人の感想であり、効果を保証するものではありません
※Google mapの口コミを引用
ビスポーククリニック 福岡院の詳細
- アクセス博多駅より徒歩9分
- 住所
- 営業時間10:00〜19:00
藤野クリニック
シミやシワ・たるみ治療を美容皮膚科専門のクリニックです。糸リフトのメニューはに種類用意されているので、ご自身にあった方法を選択。
藤野クリニック
糸リフトの料金・症例
- 施術名金額
- エヌ・コグリフト 顔全体132,000円(税込)
- ダーマスプリングアイ 目元10本60,500円(税込)
- ダーマスプリングアイ 目元20本97,900円(税込)


施術詳細
専用糸を挿入し、たるみを引き上げる
副作用・リスク
痛み、つっぱり感、感染症など


施術詳細
専用糸(ショートスレッド)を挿入し、たるみを引き上げる
副作用・リスク
痛み、つっぱり感、感染症など
藤野クリニック
糸リフトの口コミ
※口コミは個人の感想であり、効果を保証するものではありません
※Google mapの口コミを引用
藤野クリニックの詳細
- アクセス天神駅より徒歩8分、福岡天神駅より徒歩3分
- 住所
- 営業時間【平日】10:30〜18:30
【土日祝】9:30~17:30
聖心美容クリニック 福岡院
特許取得済みのミントスレッドを使用したプレミアムディメンショナルリフトが評判◎無料カウンセリングだけではなく、ウェブ相談も可能です。
聖心美容クリニック 福岡院
糸リフトの料金・症例

- 施術名金額
- アキュパンクチュアリフト リードファインリフト25本85,800円(税込)
- スプリングスレッドリフト 両側4本561,000円(税込)
- プレミアムディメンショナルリフト 両側6本418,000円(税込)


施術詳細
フィオラFLで頬のたるみを上方向にリフトアップし、サポートスレッド(当院ではアンカーマックス、アンカーX)で気になるたるみ部分を更にリフトアップ
副作用・リスク
術後の腫れ、内出血、ツッパリ感、むくみ、凸凹など


施術詳細
所麻酔後にもみあげ付近から糸を挿入し、口元などのたるみをリフトアップ
副作用・リスク
術後の腫れ、内出血、ツッパリ感、むくみ、凸凹など
聖心美容クリニック 福岡院
糸リフトの口コミ
※口コミは個人の感想であり、効果を保証するものではありません
※Google mapの口コミを引用
聖心美容クリニック 福岡院の詳細
- アクセス西鉄福岡天神駅より徒歩5分、地下鉄天神駅より徒歩10分
- 住所
- 営業時間10:00~19:00
品川スキンクリニック 福岡院
全国展開されている品川スキンクリニックの福岡院では、エイジングケアに力を入れています。美肌アモーレは若さを取り戻せる施術として人気◎
品川スキンクリニック 福岡院
糸リフトの料金・症例

- 施術名金額
- はじめての美肌アモーレ スタンダード4本99,000円(税込)
- 美肌アモーレ スタンダード4本 BMC会員146,880円(税込)
- 美肌アモーレ プレミア8本 BMC会員174,240円(税込)


施術詳細
溶ける糸を挿入し頬を引き上げる施術。専用糸を12本使用
副作用・リスク
痛み、むくみ、内出血、感染症、針跡など


施術詳細
溶ける糸を挿入し頬を引き上げる施術。専用糸を8本使用
副作用・リスク
痛み、むくみ、内出血、感染症、針跡など
品川スキンクリニック 福岡院
糸リフトの口コミ
※口コミは個人の感想であり、効果を保証するものではありません
※Google mapの口コミを引用
品川スキンクリニック 福岡院の詳細
- アクセス福岡駅より徒歩約5分
- 住所
- 営業時間10:00~19:00
トータルスキンクリニック 美容皮膚科

若返り治療に特化した治療を専門的に行っています。評判高く遠方から多くに患者さんが集まっているクリニック。キャンペーンやモニター募集実施中◎
トータルスキンクリニック 美容皮膚科
糸リフトの料金・症例
- 施術名金額
- TESSリフト・VOVリフト・PLCLスレッド 10本150,000円(税込)
- TESSリフト・VOVリフト・PLCLスレッド 期間限定12本150,000円(税込)
- TESSリフト・VOVリフト・PLCLスレッド 期間限定20本200,000円(税込)


施術詳細
コグ(突起)のついた糸を使用して、「たるんだ組織」を本来の位置まで引き上げる
副作用・リスク
内出血、腫れ、感染症、ひきつれ感、糸の露出、左右差など


施術詳細
コグ(突起)のついた糸を使用して、「たるんだ組織」を本来の位置まで引き上げる
副作用・リスク
内出血、腫れ、感染症、ひきつれ感、糸の露出、左右差など
トータルスキンクリニック 美容皮膚科
糸リフトの口コミ
※口コミは個人の感想であり、効果を保証するものではありません
※Google mapの口コミを引用
トータルスキンクリニック 美容皮膚科の詳細
- アクセス空港線天神駅より徒歩10分、西鉄福岡(天神)駅より徒歩8分
- 住所
- 営業時間10:00〜19:00
牧野美容クリニック

牧野美容クリニックは、多くの美容施術の中でも特にフェイスリフトを得意とするクリニックです。初めての美容医療で心配という人も安心して施術を受けることができるでしょう。
牧野美容クリニック
糸リフトの料金・症例
- 施術名金額
- ショートフェイスリフト(もみあげ~耳前部の切開、たるみ中等度の方) モニター価格550,000円(税込)
- スタンダードフェイスリフト(もみあげ~耳前部~うなじ、たるみ重度の方) モニター価格680,000円(税込)
- ミントリフト10本 モニター価格280,000円(税込)
牧野美容クリニック
糸リフトの口コミ
※口コミは個人の感想であり、効果を保証するものではありません
※Google mapの口コミを引用
牧野美容クリニックの詳細
- アクセス博多駅より徒歩13分
- 住所
- 営業時間10:00~18:00

























































